Saturday, 29 February 2020

Much eVaccing in the Marsh

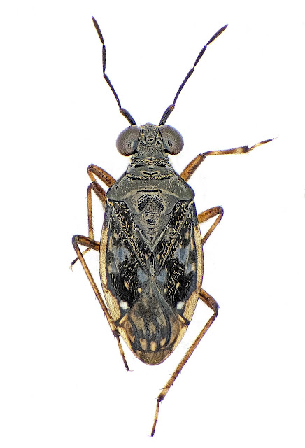
Given a few brief hours sunshine this week, I headed out for only the second time this month (shocking!). Where do you go when you've had over three times the average February rainfall? Well obviously the choice was between the local bog and the local marsh. I decided to play it safe and head for the marsh! In fact, it was surprisingly dry, which is worrying in it's own right considering the rest of the County is under water. This is one of only a few sites with reed beds but it won't be there much longer if it continues drying at this rate. This was the first opportunity to poke around a reed bed with the eVac and it produced some goodies. The first of these was the bug Chartoscirta cincta:



Not a rare species but there are few records for VC55 and it's the first time I've recorded it. The second specimen of note was a juvenile Episinus angulatus, also comparatively rare on the County.



I've always thought you can't beat a good marsh. Unless it's a bog.

Thursday, 27 February 2020

Colonized


Psilochorus simoni

In December I found a single Psilochorus simoni in my kitchen. This could have been an isolated incomer, but this morning I found two adult females. Clearly I have my own little colony (dollar signs, how much can I sell them for? ;-)

Two observations. First, the adult females are tiny compared with Pholcus phalangioides. Second, I seem to have seen fewer Pholcus around recently... This morning specimens were sharing a corner with a juvenile Steatoda grossa - I suspect this comparatively small species packs a punch and is well capable of looking after itself.

Saturday, 22 February 2020

The Pink Prowler



After two weeks of illness, storms, February rainfall now approaching three times the monthly average figure and days and days of endless R, I was determined to get out and do some fieldwork today. Determined. Those 40mph winds weren't going to stop me! When I woke the sun was shining and I sprang out of bed to charge the eVac battery. Dressed, breakfast ... then it rained, hard and horizontally. It's only a shower! It's all clear behind, I'll give it half an hour then head out. After half an hour, it rained again. And again. After two hours I gave up and went to get changed. As I walked into the bathroom I saw a tiny orange spider on the wall. Although I've never seen Oonops before, from the cluster of eyes and the way it ran, stopped, and ran again, I knew what it was.



However, I didn't know which of the two UK species it was. Under the microscope I could count 5 ventral spines on tibia I, meaning this was Oonops domesticus, which the BAS web page calls the "Pink Prowler" (c.f. Oonops pulcher, 4 spines on tibia I):



This 1.5-2mm, pinkish-orange spider has a highly characteristic way of slowly walking with its front legs out-stretched, interspersed with short bursts of running. Its small size and pinkish colour make it difficult to spot, particularly because it often nocturnal. During the day, it hides away in a silken cell behind furniture, curtains, pictures, papers, etc. In warmer parts of Europe this spider lives under stones, amongst leaf-litter, etc. In the UK it is more or less completely synanthropic and only found in houses, feeding on tiny prey such as mites and booklice. There are relatively few records, but this species is under-recorded due to its small size and nocturnal habits. There's a fair chance you have it in your house. Go look while it's raining.







Friday, 7 February 2020

eVac



BLACK+DECKER GWC3600L20-GB 36V Lithium-Ion Blower Vacuum.

Sunday, 2 February 2020

Need a statistician!

I've been looking at spider records from Leicestershire and Rutland (data copyright Leicestershire and Rutland Environmental Records Centre). From 1934-2009 there are a total of 40,340 records, from 2010-2019 there are 3,138 records. The phenology of records is as follows:



Plot of the new records against the old records:



From linear regression (R version 3.6.2 2019-12-12):

Multiple R-squared: 0.7861, Adjusted R-squared: 0.7647
F-statistic: 36.75 on 1 and 10 DF, p-value: 0.0001216

The p-value tests the null hypothesis that there no correlation between the variables. Rejecting this hypothesis (p <0.001), the conclusion based on this data is that the observed phenology has not changed significantly in the last decade. Note that even with my level of statistical inexpertise I have studiously avoiding imputing any cause for change, only examining whether there has been a statistically significant change in the last decade. However, Helen Smith helpfully pointed out to me that if you plot the data as percentage vales, there appears to be a "spring shift" in the last decade, even if this is not statistically significant based on available data:



NB: I have revised this post a number of times to avoid propagation of my earlier errors - many thanks to all those who have made helpful comments.



Saturday, 1 February 2020

Cities are bad for (most) insects



Another spoke in my "It's not all about bees you know" campaign.


Urban areas as hotspots for bees and pollination but not a panacea for all insects. Nat Commun 11, 576 (2020). https://doi.org/10.1038/s41467-020-14496-6
"Urbanisation is an important global driver of biodiversity change, negatively impacting some species groups whilst providing opportunities for others. Yet its impact on ecosystem services is poorly investigated. Here, using a replicated experimental design, we test how Central European cities impact flying insects and the ecosystem service of pollination. City sites have lower insect species richness, particularly of Diptera and Lepidoptera, than neighbouring rural sites. In contrast, Hymenoptera, especially bees, show higher species richness and flower visitation rates in cities, where our experimentally derived measure of pollination is correspondingly higher. As well as revealing facets of biodiversity (e.g. phylogenetic diversity) that correlate well with pollination, we also find that ecotones in insect-friendly green cover surrounding both urban and rural sites boost pollination. Appropriately managed cities could enhance the conservation of Hymenoptera and thereby act as hotspots for pollination services that bees provide to wild flowers and crops grown in urban settings."